Editing external applications
To create a new external application, click on the New configuration... button (figure 16.4). To open the external application editor for an existing external application, click on its name (figure 16.5).
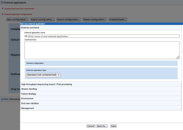
Figure 16.4: The external applications editor before any configuration has been added. Different aspects are configured under the individual tabs.
Figure 16.5: The external applications editor opened by clicking on for the name of an existing external application configuration.
An overview of the type of information configured under each of the editor tabs is provided below, along with links to more detailed information:
- External application name
- The name of the external application, as it will be seen by client software. Click on the small icon to the left to add a description (figure 16.6). This description will then be available in client software. For example, in a CLC Workbench, it is available in a tooltip when the mouse cursor is hovered over the external application name in the Tools menu under the Toolbox, in the bottom, left side of the Workbench, and is included in information displayed in the Quick Launch tool (figure 16.7).
- External command
- The name of an external application, as seen by end users, the type of the external application (standard or containerized), the command line including its parameters, further configuration of parameters with names within curly brackets (Configuring the external command).
- High-throughput sequencing import / Post-processing
- Where relevant to the external application, configuration of NGS importer or other CLC post-processing tools that should act on the results of the command line application (High-throughput sequencing importers and post processing tools).
- Stream handling
- The handling of information sent to the standard out and standard error streams by the underlying application (Stream handling).
- Failure strategy
- Define the failure strategy for the external application (Failure strategy).
- Environment
- Environment variables that should be present for the external application when it executes (Environment).
- End user interface
- Settings affecting how an external application is displayed in a CLC Workbench client (End user interface).
- Management
- Information and settings relating to the status of the external application, such as the version, whether it is enabled or disabled, and functionality to set access permissions (Management).
Figure 16.6: Click on the small icon to the left of the "External application name" field to add a description.
Figure 16.7: The external application description is visible from Workbenches connected to the CLC Server via a tooltip in the Tools menu in the Toolbox (left) and in the Quick Launch tool (right)
