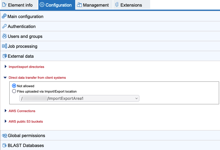
Direct data transfer from client systems
By default, transfer of data or files local to client software directly to the CLC Server is not allowed (figure 8.4). To enable direct data transfer from client systems, the option Files uploaded via Import/Export location must be selected under:
Configuration (
) | External data (
) | Direct data transfer from client systems
For this option to be available, at least one import/export directory must be configured (see Import/export directories).
When enabled, users of client systems can select data on their local file system for import. The selected files are initially uploaded to the designated import/export directory and then imported.
If permissions are enabled on the selected import/export directory, the relevant groups must be granted write permission to be allowed to transfer data from their client system to the CLC Server directly.
The default setting, "Not allowed", is conservative, and limits certain functionality, including:
- Importing data from a client system (e.g. a system the CLC Workbench or CLC Server Command Line Tools is on) to a CLC Server file system location is not allowed.
- Workflows cannot be installed on the CLC Server using the functionality provided by the CLC Workbench Workflow Manager.
- Running a standard external application that has parameters referring to files local to a client system is not possible.
- Data cannot be downloaded to a CLC_References location on the CLC Server via a CLC Workbench Reference Data Manager.
- Installing or updating plugins on connected job nodes will fail. (When pushing plugin updates to the nodes, the master is acting as a client to a job node.)
Figure 8.4: Transfer of data directly from client software is not allowed by default. If at least one import/export directory has been configured, direct data transfer can be enabled by selecting the "Files uploaded via Import/Export location" option and specifying the import/export directory to use.).
